Simultaneous Stories So Far...
Urban Assemblies: the vacancy Phenomenon
Greenbelt of Ahmedabad
Planning process byproduct

Story so far
01
City As Found
Time, Space and Scale
The City As Found celebrates events as the backbone of urban organisation. Driven by the premise that the material city grows around events (and not the other way!), the studio observed and identified the urban context as a series of events in time. Initial investigations used rigorous mapping, drawing, and imaging to identify the changing character of spaces that seamlessly tie together different actors. These time-cycles were then layered against an analysis of the structure and organisation of built morphologies, to generate a frame for exploration.
01
Events By Time
[1 week]


For a moment let us imagine that the city is not built on the stuff that makes it, but rather by the time it inhabits. By this measure, things like impact and permanence cannot be read through their physical scale or material weight, but instead through their presence: daily, cyclically, annually, and historically.
Each student chose one 'event family' to investigate that plays out in the public realm. This event was common enough that it could be found in many different parts of the city, not just a specialized place.
In this exercise, students mapped the scale of the event by time and manifestation in the city. They needed to take into account how and for how long the event happens, and the network of actors that may be required to support it, at different scales of time permanence.
02
Urban Fabric Analysis
[2 weeks]

VASNA
MEMNAGAR
DUDHESHWAR
RAKHIYAL
MANINAGAR
Base GIS data of plots, buildings and roads developed by PG Foundation Studio 2019, CEPT University
The sites of the studio represent typical conditions across the city of Ahmedabad. All include residential neighbourhoods alongside other land uses – industrial (Rakhiyal), institutional (Memnagar), mixed industrial, institutional and heritage (Shahibaug), ecological (Isanpur), and commercial (Vasna). Groups of 2 students analysed each site.
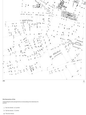
1 square kilometre is analysed at the scale of 1:5000, 1: 1000, and 1:200. For each scale, a different set of geometries becomes important.
1:5000 - Streets and Blocks.
What are the primary, secondary and tertiary streets?
What are block sizes, and perimeters? How are they organized?
Do landforms play a role?
1:1000 - Buildings and Plots.
What are the different patches of building and plot geometries?
What is the relationship between building and plot?
How are plots organized?
What is the ratio of building to plot?
1:200 - Built edge
How does the building meet the edge of the plot?
How does the edge of the plot meet the street?
What are the building types? Are there any patterns present across building types?
Memnagar
Vasna
Maninagar
Rakhiyal
Dudheshwar
03
Event Maps
[2 weeks]
Events and Fabric Analysis are brought together. On the square kilometer analysed, students mapped the manifestations of each of the individual events they studied over various times of the day. These mappings communicate the time, presence, and location of the event.
Each student developed a protocol for recording and mapping their event, which was shared to the rest of their colleagues. Each set of two students mapped all ten event protocols on their site, for a weekday and a weekend.
This has generated a set of samples, representative of the city, which locate ten of the city’s “non-permanent” events in time and space. Through the maps, potential interdependencies became visible among the events, which played out across the various sites.
Video of all the events happening on an early morning weekday from 6AM to 9AM at Memnagar, Ahmedabad












































































